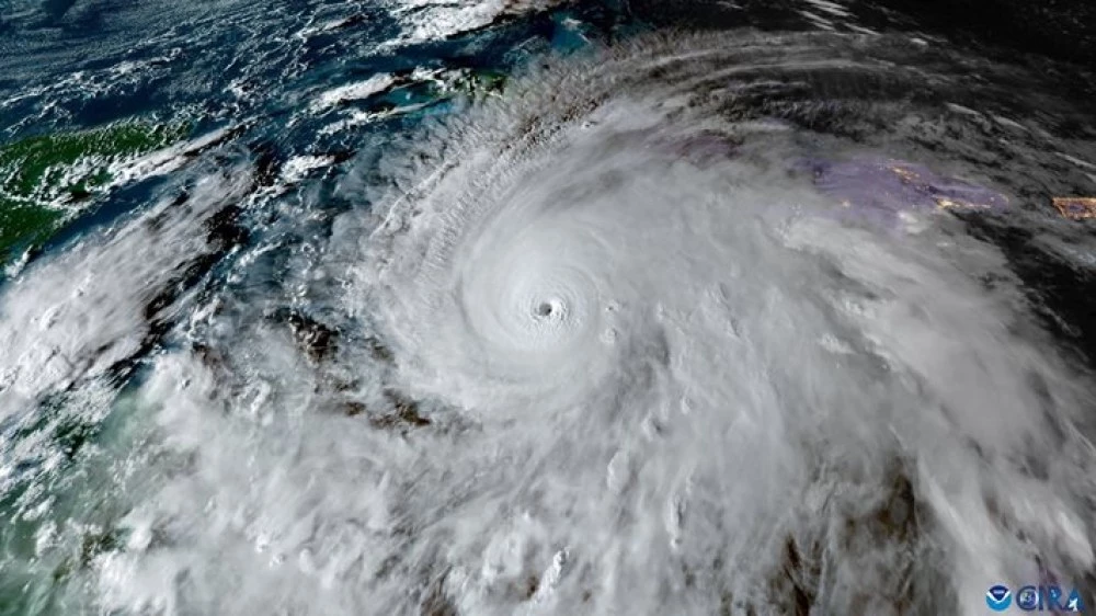
Ураганът "Мелиса" се насочва към Куба, след като премина през Ямайка като най-силната буря в съвременната история на Карибите. След като отслабна за кратко, бурята отново се засили до ураган от четвърта категория, а властите в Куба наредиха евакуация на близо 800 хиляди души. Очаква се стихията да достигне островната държава до 2-3 часа, съобщи Нова тв.
Във вторник Мелиса премина през югозападните брегове на Ямайка с ветрове от 295 км/ч и проливни дъждове. Половин милион души са без електричество. Потвърдените жертви са три – като властите не дават официална информация за още загинали.
Съобщава се за значителни щети на болници, жилищни сгради, търговски обекти и пътната инфраструктура.
Още от категорията
Виж всички
Тибет спря достъпа до китайската страна на Еверест
Седеметажна жилищна сграда се срути край Истанбул
Над 60 убити при полицейска акция в Рио де Жанейро
Акценти
Виж всички
Жена е в болница след инцидент с автобус в Пловдив
Мариан Бачев: Няма от какво да се защитавам